Subasta Inmueble Cód. CIV21

EN DÓLARES- PUESTO EN MERCADO (U.F. 21)- OCUPADO- RETIRO- C.A.B.A.

La inscripción está cerrada

Descripción del bien

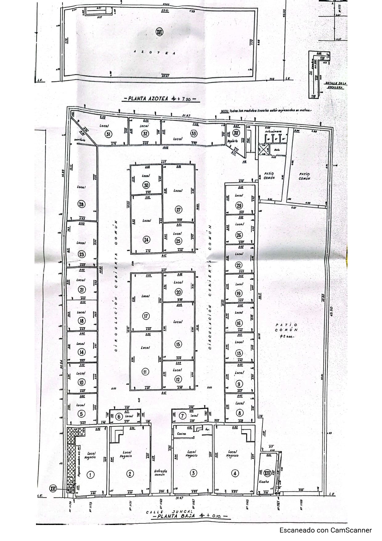
Puesto (U.F. 21) en mercado ubicado en la calle Juncal 1159/61/65/67/69/71/73/75, en el barrio de Retiro, C.A.B.A. El ingreso al mercado se realiza por la calle Juncal 1169. Está conformado con puestos en su interior, locales al frente y un baño en común. La unidad funcional N° 21 posee una superficie de 13,38 m2. Se encuentra ocupada y en mal estado de conservación. Fecha de exhibición: los días 19 y 20 de marzo de 2026 de 15:00 a 17:00 hs.

 
10/03/2026 - 09:00 AM
 
30/03/2026 - 09:00 AM
 
14/04/2026 - 09:00 AM
 No permite compra en comisión

Inmueble N° 1

JUNCAL 1159/75 - Ciudad de Buenos Aires

Domicilio del inmueble

Departamento judicial
~NO PERTENECE A NINGUN DTO. J.
Localidad
Ciudad de Buenos Aires
JUNCAL 1159/75
1062
20-1246/21
Ciudad de Buenos Aires

Nomenclatura Catastral

20
3
6
21A
JUZGADO NACIONAL DE PRIMERA INSTANCIA EN LO CIVIL N° 109
NORMA ANGELICA CARBALLO
Auto de subasta
Edicto
Autos: GROSSO, LUISA c/ FOS, DAMIAN GONZALO Y OTROS s/ DIVISION DE CONDOMINIO, Exp. Nº 55850/2019, en trámite ante el Juzgado Nacional de Primera Instancia en lo Civil N° 109. SUBASTA: comenzará el día 30/03/2026, a las 09:00 hs. FECHA LÍMITE DE INSCRIPCIÓN: 3 días hábiles anteriores al 30/03/2026. DETALLE: Puesto (U.F. 18) en mercado ubicado en la calle Juncal 1159/61/65/67/69/71/73/75, en el barrio de Retiro, C.A.B.A. El ingreso al mercado se realiza por la calle Juncal 1169. Está conformado con puestos en su interior, locales al frente y un baño en común. La unidad funcional N° 18 posee una superficie de 13,14 m2. Se encuentra ocupada y en mal estado de conservación. DEUDAS: El adquirente no deberá hacerse cargo de las deudas hasta la toma de posesión, en caso de que no existiere remanente suficiente, salvo deuda por expensas. BASE: U$S 20.000 EXHIBICIÓN: 19 y 20 de marzo de 2026 de 15:00 a 17:00 hs. PAGO: El comprador abonará, dentro de los tres (3) días hábiles de finalizado el acto del remate: 1) importe total de la seña determinada correspondiente al 30% en la cuenta de autos (Banco Nación Suc. Tribunales, número de cuenta en dólares: 9896701183, CBU 0110025951098967011830); 2) El tres por ciento (3%) de Comisión del Martillero en la cuenta a su nombre (BBVA Caja de ahorro en U$S 327-741139/7, CBU 0170327444000074113976, alias LECHO.FILO.JUEGO) y; 3) 0,25% de arancel de la C.S.J.N. según Acordada 10/99 en la cuenta corriente especial Nº 15923/8 PJN-0500/335- Corte Suprema de Justicia de la Nación Dir. Adm. Dep. acord. 10/99, CBU 0290005610000001592389. Los condóminos gozan de derecho de preferencia, en razón de ese derecho, si la mejor oferta fuere realizada por un tercero no condómino, el resultado de la subasta y la consiguiente adquisición por el tercero de la unidad funcional subastada, quedará condicionada a que ningún condómino ejerza su derecho de preferencia dentro del plazo de 3 días hábiles finalizado el remate, a cuyo fin deberá presentarse en el expediente judicial. OBLIGACIÓN DEL COMPRADOR: El vencedor en la subasta deberá presentar ante la autoridad judicial competente, dentro de los tres (3) días hábiles siguientes a la finalización, la siguiente documentación: comprobante de inscripción a la subasta; constancia del Código de Postor y toda documentación que, a criterio de la autoridad judicial, sea necesario acreditar.
ACREDITACIÓN DE POSTORES: Aquellos interesados en participar de la subasta deberán encontrarse previamente empadronados en el Registro de Subastas Electrónicas Judiciales, como usuarios del sistema e inscriptos con una antelación de tres (3) días hábiles al inicio de la subasta, de acuerdo a los requisitos establecidos en el reglamento aplicable. POSTURA MAXIMA SECRETA: El postor podrá ingresar al sistema el valor máximo a ofertar por cada unidad, en ese caso el sistema ofertará automáticamente, hasta el valor indicado de acuerdo a la figura de postura máxima secreta. Si el precio máximo del postor es superado en el siguiente tramo, aquél deberá realizar las sucesivas ofertas de manera manual. La puja automática quedará anulada si el oferente que haya optado por esta modalidad realiza una oferta manual. En tal caso, corresponderá que el oferente continúe su intervención según este último modo de puja. Si existe paridad en las posturas máxima secretas, la prioridad se establecerá en función de la fecha y hora de ingreso de las propuestas (Art.21 de la acordada N° 15/25). EL USUARIO ESTARÁ EFECTIVAMENTE INSCRIPTO UNA VEZ QUE RECIBA SU CÓDIGO DE POSTOR ÚNICO, SECRETO Y ESPECIFICO PARA ESTA SUBASTA (ARTÍCULO 11 DE LA ACORDADA N° 15/25).
Los interesados en participar de la subasta deberán encontrarse previamente empadronados en el Registro de Subastas Electrónicas Judiciales, como usuarios del sistema. CONSULTAS: Oficina de Subastas Electrónicas Judiciales teléfonos: 4123-4457/4458; correo electrónico: consultas.subastas@csjn.gov.ar. Para mayor información: www.youtube.com/watch?v=K6dXOTP7yIs (tutorial de empadronamiento). TIEMPO DE EXTENSIÓN: Si en los últimos tres (3) minutos, previos al cierre de la subasta, algún postor ofertara un precio más alto, el tiempo para el cierre de ésta se ampliará, automáticamente, diez (10) minutos y se renovará, por igual lapso, ante cada nueva oferta que supere la anterior. Esta situación será publicitada y notificada automáticamente por el sistema, a todos los postores. El tiempo de la subasta se extenderá por idéntico periodo con cada nueva oferta más alta que la anterior que se presente, renovándose dicho plazo hasta tanto no se realicen ofertas por diez (10) minutos seguidos (Art.22). A EFECTOS DE VISUALIZAR LA ÚLTIMA POSTURA EFECTUADA, DEBERÁ MANTENER ACTUALIZADA LA PÁGINA PULSANDO F5.
Tramo actual N°1 $ 20.000,00

Ofertas realizadas

  • N°1 Postor 75421 $ 20.000,00

Postores inscriptos

7 postores en la subasta